公図に間違いがあれば訂正を申請
ケース2 まちがっていた公図
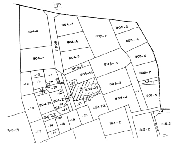
もう一つ、公図の実例をみましょう。埼玉県のある市の公図の一部で、登記所の公図が間違っており、後日、訂正されたものが送られてきたというケースです。
【図表1 公図写し(誤記分)】
【図表2 公図写し(訂正分)】
804番23の調査のため公図を徴求しました。市役所と現地及び登記所で804番23の接面道路を調査したところ、次のようなことがわかりました。
804番1、804番30、804番31、804番40は道路位置指定を受けた道路でした。804番42は804番23とは別人の所有の宅地です。これでは804番23の所有者の建物は道路に接していないことになります。
これは公図が間違っていたもので、正しいのは図表2のものです。申し出たところ、登記所で調査し、訂正したものを後日送ってきました。
また接面道路が私道の場合、共有となっているケースがあります。このようなとき共有持分を担保にとることを見落とさないことにも注意しなくてはなりません。
道路法の適用がない道路(里道)の存在を示す赤線
ケース3 赤線(赤道)、青線とはなにか
次に公図には、色分けされている場合があります。この意味は赤(赤線ともいう)→里道(赤道)、青地(青線ともいう)→河川または水路等です。下記図表3の公図の1281番23と1278番5との間の斜線部分(実際の公図では赤線で色分けしてある)は、一般に赤道とよばれるものです。このケースで現況はこの上に建物が建っています。所有者は国(国土交通省)となっています。実際の道路は公図上にはでていませんが、1281番23の一部を通っているのです。
この赤道は、公図を作製するときに民有地と区別するために色分けされたことに名前の由来があります。
このケースでは、この赤道は役所と関係者全員との間に現実の道路と交換する手続をとることになっています。公図も、その後で現状と一致するものに書き換えられます。赤道等は国有地ですが管理は市区町村に委嘱されていることが多いので、その役所に出かけ調査をします。
【図表3 公図写し(赤道)】



