土地の位置や形状、方位などを知るために重要な公図
公図を閲覧したり、公図をとることの必要性については、前にもふれましたが、では、その公図をどのように読んでいったらよいのでしょうか。実務ではいろいろなケースがあります。
ケース1 接面道路に注意を
「○○の登記簿をとってきてくれ」「公図は必要ですか」「いっしょにとってくれ」とか「○○の登記簿をとってほしい。急がないから郵送でいいよ」。こんなときは登記簿も公図も郵送で取り寄せることができます。
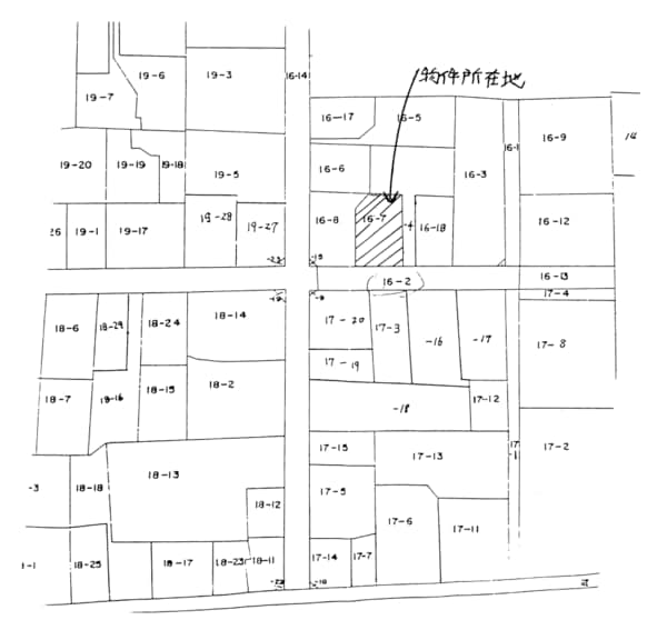
いずれにしても、前にふれましたように公図をとって見るというのは、その土地の位置や形状、方位などを見るためです。それに一番大事なのは、その土地と道路の関係がどうなっているかを見ることです。つまり、道路付けがどうかということです。接面道路いかんによって土地の価値は決まるといってもいいでしょう。下記図表の公図を見てください。これは東京都中野区内の一部を写したものです。
【図表 公図写し】
公図上、道路と思われる地番を登記簿等で確認
たとえば、皆さんが16-7の登記事項証明書や権利証(登記済証)を見て、物件を売買したり担保にとるとき、当然16-7が面している、道路と思われる土地16-2が気になります。このようなときどうしますか。
まず登記所で土地登記簿をとり、所有者を確認します。このケースでは「公衆用道路」となっていました。念のため、区役所の建設部管理課認定係で調べたところ、昭和58年3月18日寄附により区有道路となったことがわかりました。したがって公道であり問題ないでしょう。
次に住宅地図を頼りに現地にでかけ現況を調べます。なお、現地調査に出かけるときはカメラ、巻尺、磁石、現地調査表などを持参します。また、役所で調べた事項は持参した公図などに説明内容を書いておいてください。

